高分子电缆桥架介绍:
高分子电缆桥架有:无孔槽式、有孔托盘式、梯式等。
产品由底板、侧板与面板两部分组成。底板、侧板U型槽是电缆的容装部分,板材采用双层中空式结构,由挤塑机连续挤出成型,有着力学结构,承载能力强。高分子桥架比金属桥架轻盈很多。高分子桥架面板为单层(双层),两侧均有向内扣脚,正好与底板两侧上方向外展的扣脚结合,闭合后使整个横截面形成正方形或矩形结构。这种结构无需任何工具就能开启和扣合,为安装及日后的系统增容、技术改造、维护检修提供方便。
高分子电缆桥架材料本身具有绝缘、耐腐蚀、阻燃火性强等特性。

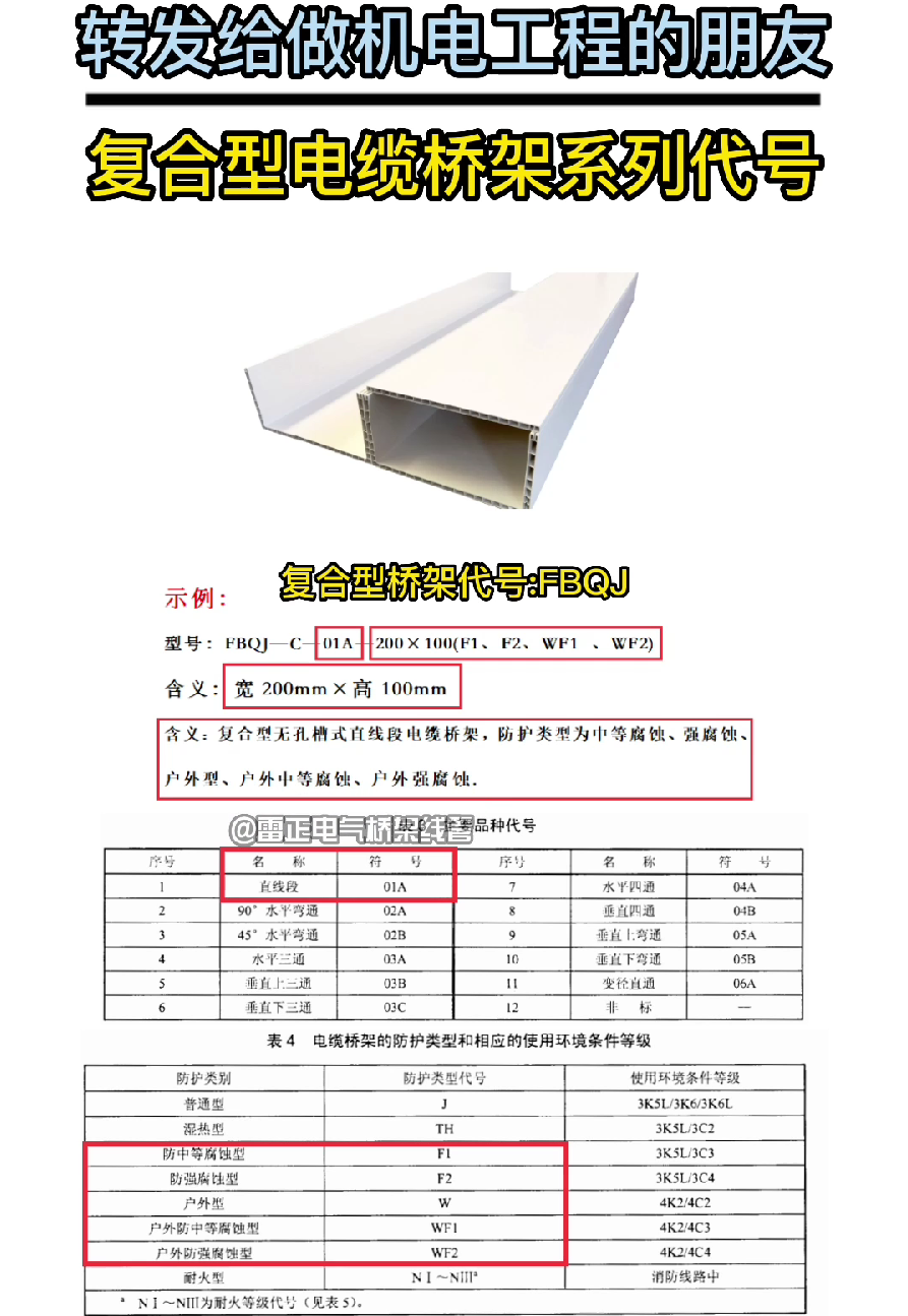
复合型电缆桥架系列代号(符号)表示方式如下图:
图一

图二

示例:FBQJ—C—01A—200×100(J、TH、F1、F2、W、WF1、WF2)
图一图二的含义:复合型无孔槽式直线段电缆桥架、防护类型为中等腐蚀、强腐蚀、户外型、户外中等腐蚀、户外强腐蚀环境。
转载请注明来自广东江南娱乐客户端官网,本文地址://m.ndytng.com/cpzs/14377.html 除非注明,广东江南娱乐客户端官网文章均为原创,转载请注明出处和链接!





